Refine Search

Lots 1-4 Overhills Rd./lanier Dr. , Spring Lake, NC 28390

$220,000
  • Lots 1-4 Overhills Rd./lanier Dr. , Spring Lake, NC 28390 Main Photo

3 Total Photos [Click to View All]

New to the Market Active
LOT SIZE 1.860 acres MLS#759895
STATUSActive PROPERTY TYPELand - Residential

Property Description

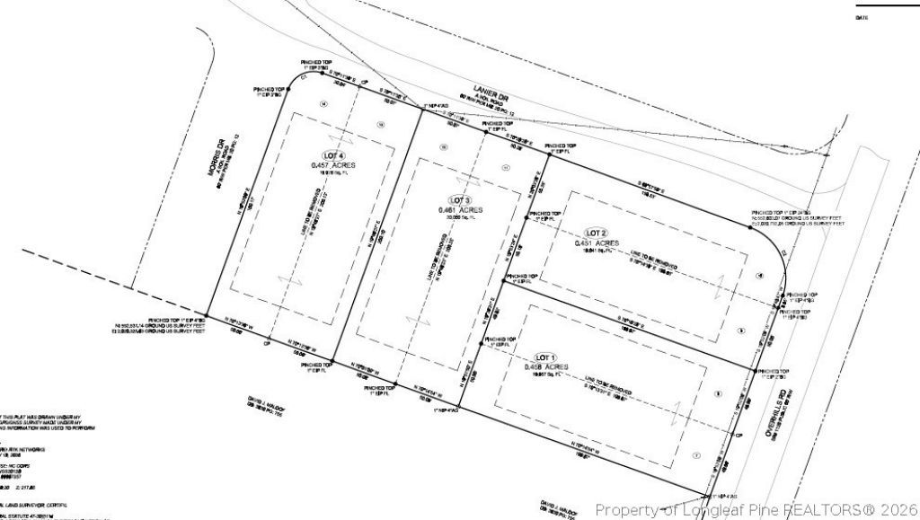
ATTN Builders! 4 lot subdivision zoned R-20R in Harnett County is ready for your next development project. Each lot is approximately .45 acres. 2 lots have road frontage on Overhills Rd. and 2 lots have road frontage on Lanier Dr (private road). Harnett county water runs down Overhills Rd. and Lanier Dr. Harnett County sewer runs down Overhills Rd. Recent new construction stick built sales in the $300k-$340k range within 2 miles. Manufactured homes allowed. Conveniently located: only a 25 minute commute to Fort Bragg, an hour to Raleigh and a little over a mile to Anderson Creek Primary School. Preliminary soil evaluation on file. GIS currently shows as 8 lots - new plat recombining into 4 lots should be recorded the first week in April. PIN #s: 0525-02-6417.000, 0525-02-6531.000, 0525-02-6546.000, 0525-02-6660.000, 0525-02-5527.000, 0525-02-4579.000, 0525-02-4621.000, 0525-02-3683.000.

Lots 1-4 Overhills Rd./lanier Dr. | MLS# 759895

This land located at Lots 1-4 Overhills Rd./lanier Dr. , Spring Lake, NC 28390 is currently listed for sale with an asking price of $220,000. The property has approximately 1.86 Acres. Search Spring Lake real estate on www.townsendrecommercial.com today.

Property Features

Property Type: Land - Residential
Lot Size: 1.86 Acres

Feature Descriptions

Lot: TwoToThreeAcres, Wooded
Sewer: CountySewer, PublicSewer
Utilities: SewerAvailable, WaterAvailable
Water: Public

Local Schools

High School: Overhills Senior High
Middle School: Overhills Middle School
Elementary School: South Harnett Elementary School

Listed By / Shown By

Listed By

Agency Name: TAYLOR MADE REAL ESTATE
Agency Phone: 910-818-6263

Shown By

Agency Title: Townsend Real Estate - Townsend Commercial
Agency Phone: 910-485-1707

IDX logo

Estimate Your Payment

Estimated Payment

$ 553.79 per month $489.62 Principal & Interest $0.00 Property Tax (data not provided by mls) $64.17 Homeowner's Insurance

Change Payment Information

%
years/fixed
yearly
yearly (est.)
(Payments are an estimate and may vary by lender)

Login to My Property Finder

Pixel